9月21日の園内

自然情報

すっかり涼しくなりましたね。

西岡公園ではエゾエンマコオロギが鳴いていたり、キノコが出たり、木の実を見つけたり、と秋の気配を感じます。

森の中からはカケスの声も聞かれます。

アキノキリンソウの黄色い花

アキノキリンソウが咲いています。

クチナガガガンボの仲間が蜜を飲みに来ていましたよ。

サラシナショウマの白い花

サラシナショウマも咲いていました。

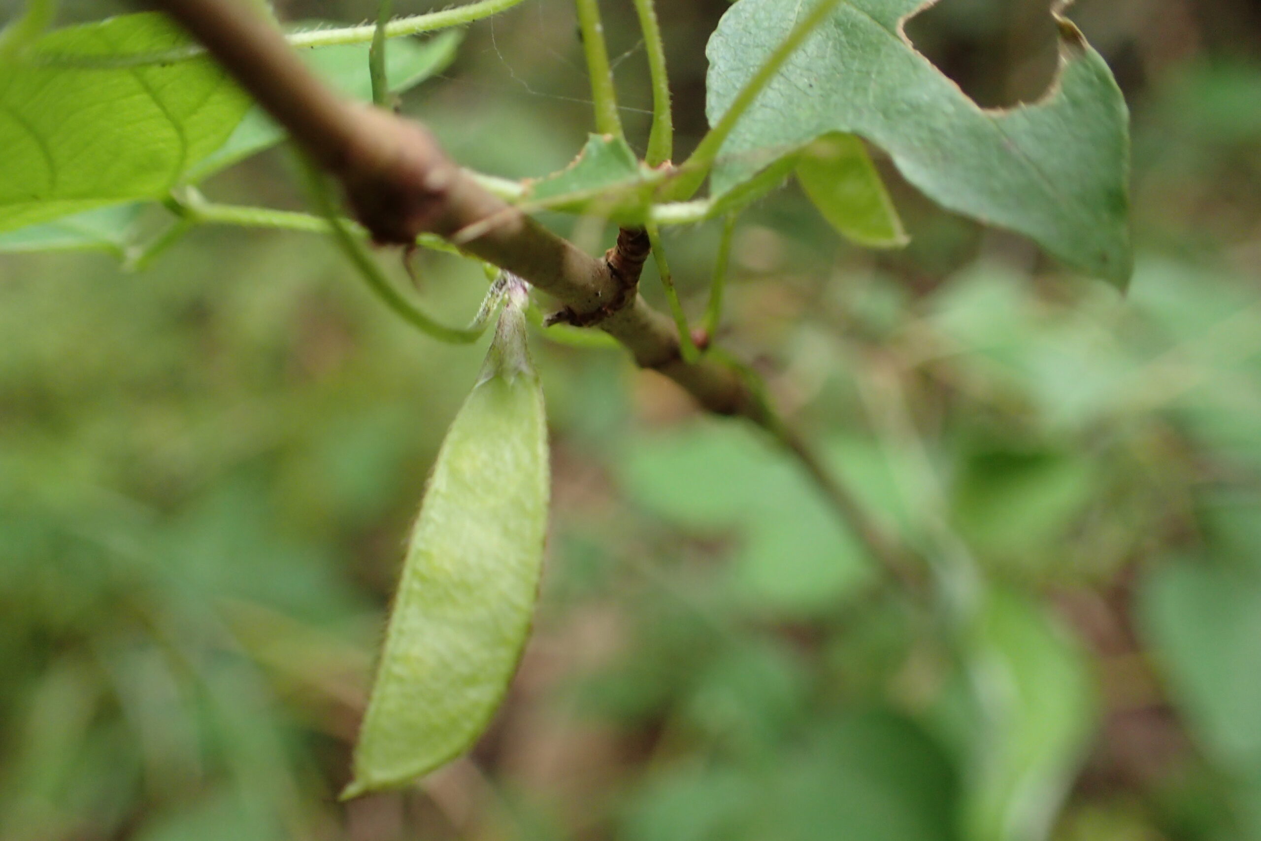
ヤブマメの小さい紫色の花

ヤブマメの花と

ヤブマメの小さい平たい緑色の鞘

キヌサヤのような形の小さな、ヤブマメの果実も実っていましたよ。

ヤマハハコの白い花

ヤマハハコの花や

キツネノボタンの黄色い花

キツネノボタンもひっそりと咲いていました。

ミゾソバの白っぽい花

ミゾソバは今が見頃です。

ゴマナの白い花

ゴマナも満開です。

エゾトリカブトの紫色の花

エゾトリカブトがきれいです。

キンミズヒキの棘のフックの付いた果実

キンミズヒキの果実がありましたよ。

これはひっつきむしと呼ばれるタイプの果実です。

ヤブハギのフックの付いた緑色の果実

ヤブハギの果実もひっつきむしです。

服にくっついたヤブハギの果実

いつの間にか、ズボンにくっついていました。

コヤブタバコの茶色の下向きの果実

コヤブタバコの果実。

繊維にくっついたコヤブタバコの果実

手袋にもくっつきます。

これはべたべたしてくっつきますよ。

茎についているケチヂミザサの果実

ケチヂミザサの果実もありましたよ。

てぶくろに付いた毛の生えた種子

こちらも、べたべたの粘液でくっつくタイプ。

カカオのような形の緑色のガガイモの果実

ガガイモの果実がありましたよ。

熟すと中から種髪と呼ばれる長いフワフワの毛が付いた種が出てきて風に運ばれます。

マイヅルソウの赤色の果実

マイヅルソウの果実は、ルビーのような、透明感のある深いレッドが素敵です。

アクシバの赤い果実

アクシバの果実は、ツヤツヤで可愛らしいです。

今年はたくさんついていますよ。

赤褐色のうろこ状の表面のムシコブ

ミズナラの芽のところについていたのは、虫こぶです。

ミズナラの芽に付いたうろこのような虫こぶなので「ミズナラメウロコタマフシ」といいます。

ミズナラメウロコタマバチ(タマバチ科)の幼虫が1匹入っていてこの中で越冬するそうです。

桃色のキノコ

様々な姿のキノコたちにも出会いましたよ。

ピンク色のキノコや

薄いブルーのキノコ

淡い青色のもの

年輪のような模様のキノコ

このキノコの模様を見ると、渦巻き模様のかりんとうを連想しましたよ。

白いサンゴのようなキノコ

枝分かれした白いキノコもありましたよ。

緑色の葉に濃い紫色のまだら模様の付いたトケンランの葉

地面を見て歩くと、トケンランの芽が出ていました。

ちいさなフデリンドウの芽

フデリンドウの小さな芽も出ています。

花が、少なくなってきました。

紅葉も、まだのようです。

それでも、様々なキノコが観察出来たり、

トンボが飛んでいたり、ひっつきむしなどの果実が、楽しい園内です。

散策の際には管理事務所にもお立ち寄りください。

冬がやってくる頃まで「ひっつきむしを探そう」の展示を行っていますよ。

「ひっつきむしを探してみよう」の展示

押し葉にした植物の標本

「ひっつきむし」と、は人の服や動物の毛にくっついて、運んでもらう戦略をとっているタイプの、植物のタネをいいますよ。

植物の押し葉をたくさんはりつけた標本

西岡公園で観察できる、タネが、「ひっつきむし」になる、実際の植物の標本や

フェルトにくっついたひっつきむし

フェルトに、ひっつきむしを、くっつけられるスペースもあります。

散策の後に、服にくっついている「ひっつきむし」を見つけたら、ここに、くっつけてみませんか。

自分についていたのが、どんな植物のタネだったのかの、答え合わせも出来て、楽しいですよ。

様々な種子のコーナー

様々なタイプのタネのコーナーもありますよ。

ガガイモのフワフワのタネも見られます。

西岡公園にお越しの際には、管理事務所の展示室もお楽しみください。

ハチやウルシ、ダニ等の対策のため肌を出さない装いと、歩きなれた靴で散策をお楽しみください。

園内の花や山菜、動植物の採集と傷つける行為は禁止されております。